




Development Land in Bryn Eglwys for Sale - £180,000
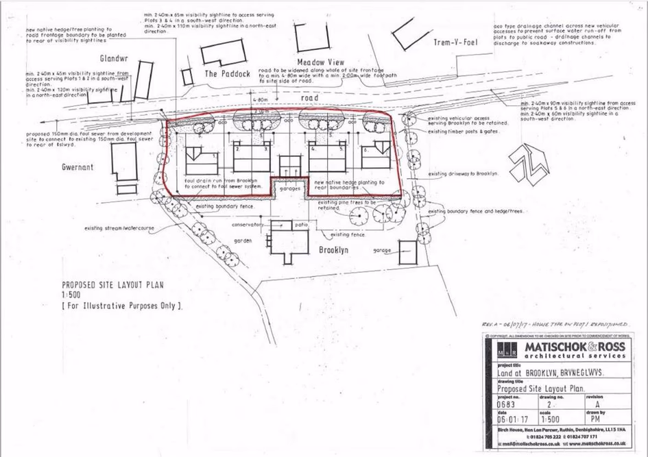
Reid & Roberts are delighted to offer For Sale the above building plot in the village of Bryn Eglwys in Corwen. The outline planning has been agreed subject to a Section 106 Agreement which is currently being put in place. The development is a 0.18ha of land for erection of ...
Development Land in Bryn Eglwys for Sale - £180,000
Description
Reid & Roberts are delighted to offer For Sale the above building plot in the village of Bryn Eglwys in Corwen. The outline planning has been agreed subject to a Section 106 Agreement which is currently being put in place. The development is a 0.18ha of land for erection of ...
Contact Agent
Smart Picks — Professionals Relevant to This Land
Based on this property's key features, here are the specialists you may want to consult as part of your due diligence: land agents, rural solicitors, planning consultants and rics surveyors.

Land Agents
Essential for navigating the land market, finding buyers, and securing the best price.

Rural Solicitors
Significant investment (£180K+) requires legal expertise for conveyancing, title checks, and transaction security.

Planning Consultants
Planning-sensitive site needs expert guidance for applications and development strategy.

RICS Surveyors
Prime or productive land requires professional valuation to ensure fair market value.
Location
Bryn Eglwys